Siga o Olhar Digital no Google Discover
Após atingir a costa oeste da Jamaica como um furação de categoria 5 e deixar um rastro de destruição, o Melissa perdeu força e chegou ao território de Cuba na manhã desta quarta-feira (29). Até o momento, pelo menos sete mortes foram confirmadas.
Ofertas
Por: R$ 7,60
Por: R$ 21,77
Por: R$ 16,63
Por: R$ 59,95
Por: R$ 7,20
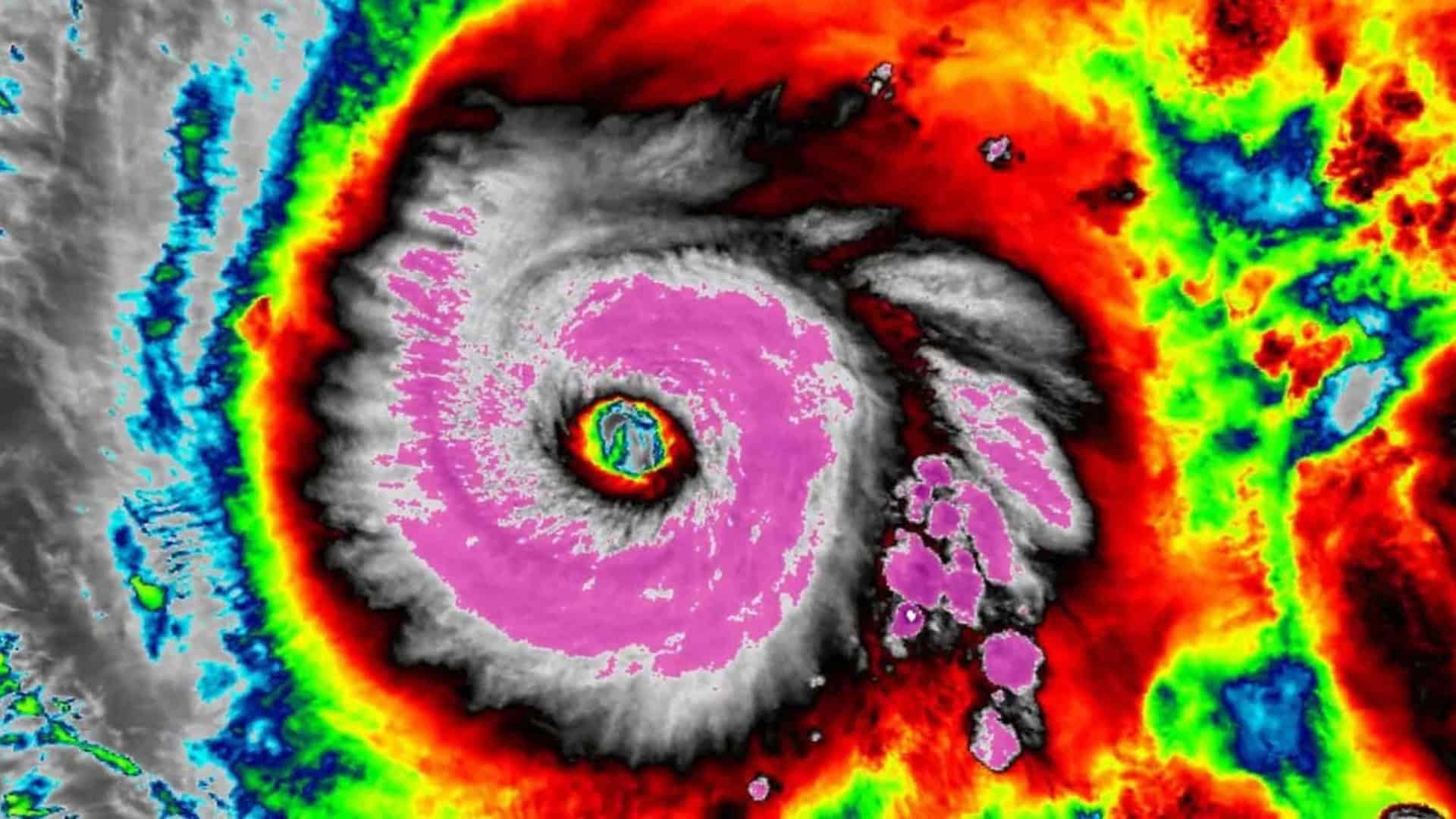
O fenômeno climático já é considerado um dos mais fortes da história recente, tendo provocado ventos de até 300 km/h e ondas de quatro metros de altura. Mas o que está por trás de tamanha força destrutiva?

Combinação de fatores favoreceu evento extremo
Reportagem do G1 explica que a combinação entre o calor recorde do mar do Caribe e o padrão atmosférico causado pelo fenômeno climático La Niña potencializou o furação. Isso possibilitou a redução do chamado cisalhamento, que consiste na mudança na direção ou na velocidade do vento em diferentes altitudes. Quando o cisalhamento vertical está baixo, como costuma acontecer em episódios de La Niña, os furacões no Atlântico têm maior facilidade para se organizar e se intensificar, já que a velocidade e a direção do vento não mudam muito. Já um alto cisalhamento dificulta o crescimento e fortalecimento dos fenômenos.
Em anos de La Niña, há um incentivo para a formação de ciclones tropicais. As circulações da América do Norte favorecem não só a formação, mas também o deslocamento desses sistemas. Na região próxima à Jamaica, o mar está até 5°C acima do normal. E os ciclones tropicais se alimentam exatamente desse calor.
César Soares, meteorologista da Climatempo

Ao mesmo tempo, o oceano libera calor e umidade, o que ajuda a alimentar a formação de tempestades. Com uma superfície do mar mais quente, maior foi a quantidade de energia disponível e maior o potencial de intensificação do Melissa. Para piorar a situação, a atmosfera estava extremamente úmida, favorecendo a formação de nuvens chamadas de convectivas explosivas, que crescem rapidamente em altitude e causam chuva torrencial.
Oceanos quentes são um ingrediente essencial para furacões fortes. A região do Atlântico onde o furacão Melissa está se formando parece uma caldeira que ficou acesa por tempo demais. As águas do oceano estão em torno de 30°C, de dois a três graus acima do normal, e esse calor se estende em profundidade.
Akshay Deoras, pesquisador Departamento de Meteorologia da Universidade de Reading, no Reino Unido
Outro ponto importante para explicar o que aconteceu foi o fato do furacão não seguir para o norte, como costuma acontecer. Ele permaneceu quase parado sobre águas muito quentes, absorvendo ainda mais energia. Todas essas características mantiveram o Melissa em constante fortalecimento, o que tornou esse um dos fenômenos climáticos mais intensos dos últimos anos.
Leia mais
- Furacão Melissa atinge a Jamaica com categoria 5 e já é um dos “mais fortes da história”
- Tempestade de fakes: vídeos de IA enganam usuários sobre furacão Melissa
- Furacão Melissa: avião faz imagem impressionante do olho do fenômeno

Mudanças climáticas tiveram papel no fortalecimento do furacão
- Como você pôde perceber, foram necessárias várias combinações para tornar o furacão tão poderoso.
- E todos os fatores citados têm um ponto em comum: as mudanças climáticas.
- Os cientistas explicam que, apesar das temporadas de furacões ocorrerem anualmente no Caribe, os fenômenos estão cada vez mais intensos.
- E isso torna ainda mais importante o combate à crise climática.
- Um sucesso nessa difícil missão permitiria que os oceanos voltassem a registrar temperaturas normais, impedindo que futuros eventos como o Melissa se repitam.
- Por outro lado, caso não consigamos reverter este cenário, furacões destrutivos irão ameaçar milhões de pessoas que vivem nessas regiões costeiras.