Siga o Olhar Digital no Google Discover
O Melissa entrou para a história ao atingir a costa oeste da Jamaica como um furacão de categoria 5. Com ventos de até 300 km/h, ele provocou ondas de quatro metros de altura, causando mortes e deixando um rastro de destruição ainda incalculável na região.
Ofertas
Por: R$ 7,60
Por: R$ 21,77
Por: R$ 16,63
Por: R$ 59,95
Por: R$ 7,20
Por: R$ 69,70
Por: R$ 30,00
Por: R$ 129,99
Por: R$ 7,39
Por: R$ 31,75
Por: R$ 481,00
Por: R$ 66,99
Por: R$ 3.799,00
Por: R$ 225,90
Por: R$ 269,99
Por: R$ 216,11
Por: R$ 79,90
Por: R$ 275,90
Por: R$ 948,90
Por: R$ 2.069,90
Por: R$ 5.489,00
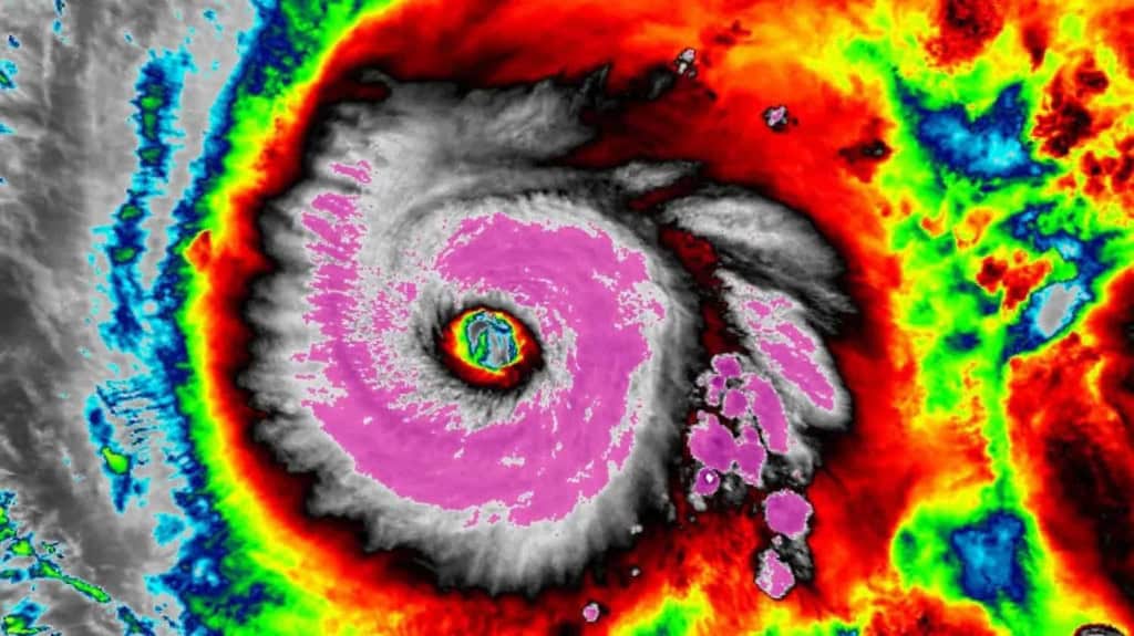
Este evento extremo ainda está sendo estudado por cientistas e algumas imagens podem ajudar a compreender o seu potencial destrutivo incomum. Alguns destes registros foram feitos de dentro do furacão.

Nuvens apresentam formatação incomum
- As imagens foram divulgadas pela equipe do 53º Esquadrão de Reconhecimento Meteorológico da Força Aérea dos Estados Unidos.
- A equipe, apelidada de “Caçadores de Furacões”, realizou voos dentro do Melissa para coletar dados meteorológicos.
- De acordo com o portal Futurism, os trabalhos tiveram que ser interrompidos algumas vezes em função da grande turbulência.
- Apesar disso, as fotos e vídeos impressionantes mostram algumas características diferenciadas deste fenômeno.
- A que mais chamou a atenção foi que as nuvens captadas são menos inclinadas do que o comum, apresentando uma verticalidade incomum.
Leia mais
- Furacão Melissa atinge a Jamaica com categoria 5 e já é um dos “mais fortes da história”
- Tempestade de fakes: vídeos de IA enganam usuários sobre furacão Melissa
- Furacão Melissa: avião faz imagem impressionante do olho do fenômeno
This footage from inside the eye of Category 5 Hurricane Melissa might be the most jaw-dropping video ever captured of a hurricane’s eye, showcasing the infamous “stadium effect." pic.twitter.com/AEhj2g2Ban
— Colin McCarthy (@US_Stormwatch) October 27, 2025
O que explica o poder destrutivo do furacão Melissa?
A combinação entre o calor recorde do mar do Caribe e o padrão atmosférico causado pelo fenômeno climático La Niña potencializou o furação. Isso possibilitou a redução do chamado cisalhamento, que consiste na mudança na direção ou na velocidade do vento em diferentes altitudes. Quando o cisalhamento vertical está baixo, como costuma acontecer em episódios de La Niña, os furacões no Atlântico têm maior facilidade para se organizar e se intensificar, já que a velocidade e a direção do vento não mudam muito. Já um alto cisalhamento dificulta o crescimento e fortalecimento dos fenômenos.
Ao mesmo tempo, o oceano libera calor e umidade, o que ajuda a alimentar a formação de tempestades. Com uma superfície do mar mais quente, maior foi a quantidade de energia disponível e maior o potencial de intensificação do Melissa. Para piorar a situação, a atmosfera estava extremamente úmida, favorecendo a formação de nuvens chamadas de convectivas explosivas, que crescem rapidamente em altitude e causam chuva torrencial.

Outro ponto importante para explicar o que aconteceu foi o fato do furacão não seguir para o norte, como costuma acontecer. Ele permaneceu quase parado sobre águas muito quentes, absorvendo ainda mais energia. Todas essas características mantiveram o Melissa em constante fortalecimento, o que tornou esse um dos fenômenos climáticos mais intensos dos últimos anos.