Siga o Olhar Digital no Google Discover
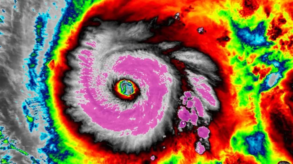
O furacão Melissa se intensificou para a categoria 5 nesta segunda-feira (27) no mar do Caribe, com ventos máximos sustentados de 260 km/h, e se aproxima de países da região, incluindo Jamaica, Cuba e Bahamas. O fenômeno representa risco extremo de enchentes, deslizamentos e marés de tempestade, levando autoridades locais a adotarem medidas de emergência.
O governo jamaicano determinou a evacuação obrigatória de moradores da capital Kingston, de Porto Real e de outras cidades, disponibilizando 900 abrigos. Os dois aeroportos internacionais do país foram fechados no domingo, enquanto o furacão se aproximava da ilha a cerca de 205 quilômetros ao sul-sudoeste de Kingston, conforme boletim do Centro Nacional de Furacões (NHC) dos EUA.

Avanço do furacão e alerta para Cuba e Bahamas
Melissa deve tocar o solo na Jamaica na madrugada de terça-feira e, em seguida, seguir para o leste de Cuba e as Bahamas até quarta-feira. Em Cuba, um alerta de furacão foi emitido para as províncias de Granma, Santiago de Cuba, Guantánamo e Holguín, enquanto Las Tunas permanece sob alerta de tempestade tropical. A previsão indica até 51 centímetros de chuva em algumas regiões do país.

O furacão se desloca lentamente para oeste, a 6 km/h, e já provocou ventos destrutivos e inundações em algumas ilhas do Caribe. Segundo o NHC, áreas do leste da Jamaica podem receber até 1 metro de chuva, enquanto o oeste do Haiti deve registrar até 40 centímetros, com risco de deslizamentos de terra e inundações repentinas catastróficas.
Impactos iniciais na região
Melissa já provocou vítimas no Caribe: ao menos quatro mortes foram registradas devido às tempestades, sendo três no Haiti e uma na República Dominicana. No país vizinho, o furacão danificou mais de 750 casas e deslocou mais de 3.760 pessoas, além de interromper o acesso a pelo menos 48 comunidades. No Haiti, plantações foram destruídas em três regiões, comprometendo áreas de milho e colocando em risco a temporada agrícola de inverno.
O serviço meteorológico jamaicano alerta que Melissa pode ser o furacão mais forte a atingir a ilha nas últimas décadas, com marés de tempestade de até 4 metros acima do nível do solo. Autoridades pedem que a população não subestime o fenômeno e evite deslocamentos desnecessários, enquanto equipes de emergência se preparam para lidar com os impactos.

Leia mais:
- Como são feitos os testes para prever a força de um furacão?
- É possível um furacão se formar no Brasil?
- Os 5 maiores (e piores) furacões da história
Possível impacto militar e eventos sísmicos
Além das consequências locais, Melissa pode afetar a presença militar dos EUA no Caribe, com dezenas de navios e aeronaves destacadas na região. No mesmo dia, a região registrou um terremoto de magnitude 6.5 a leste de Curaçao, a 10 km de profundidade, sem alerta de tsunami, segundo o Centro de Estudos Geológicos dos EUA.
Autoridades jamaicanas reforçam que os próximos dias serão críticos, com graves riscos à vida devido a ventos extremos, chuvas torrenciais e marés elevadas. O alerta é para que a população siga as orientações de evacuação e segurança sem colocar-se em risco.